De inhoud is geladen.

  • Naar de inhoud gaan

Cookie-instellingen beheren

Analytische cookies

Waterschap Rivierenland gebruikt SIManalytics om haar dienstverlening te verbeteren. SIManalytics verzamelt geen persoonsgegevens.

Overige cookies

Pagina-onderdelen van andere websites, zoals YouTube of Vimeo, verzamelen mogelijk gegevens om hun producten te verbeteren.

Kaart services zoals Leaflet verzamelen gegevens om hun producten te verbeteren.

logo Waterschap Rivierenland
Zodra er zoekresultaten zijn, gebruik de omhoog/omlaag toetsen om te navigeren en enter om te selecteren. Touch gebruikers, gebruik touch of swipe.
logo Waterschap Rivierenland
Zodra er zoekresultaten zijn, gebruik de omhoog/omlaag toetsen om te navigeren en enter om te selecteren. Touch gebruikers, gebruik touch of swipe.

Publicatielijst verkoop

ZaaknummerAdres (nabij)TekeningKadastrale aanduidingOppervlakte
(circa)
Voldaan aan 
selectiecriteria
Uiterlijk reageren op
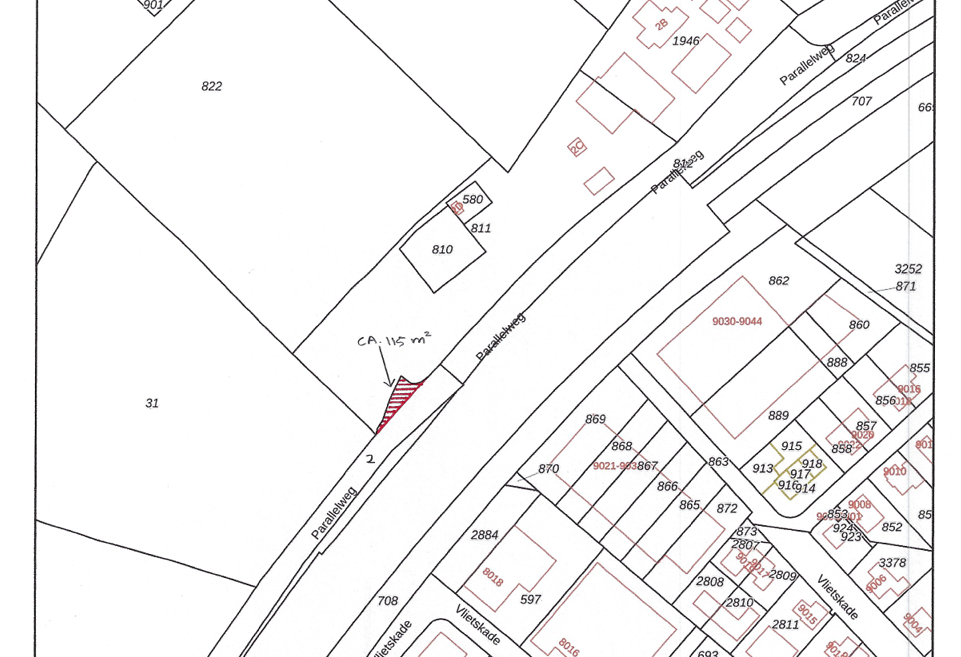
241868Maasdijk 279, Wijk en AalburgKlik hier voor de situatietekeningAalburg, E, 731210 m21, 2, 3.2 december 2025
278190Brandwijksedijk 49 te BrandwijkKlik hier voor de situatietekeningBrandwijk, C, 17518.000 m2511 december 2025

Contact

Telefonisch bereikbaar van maandag tot en met vrijdag tussen 08.00 en 17.00 uur: (0344) 649 090

E-mail: info@wsrl.nl

De Blomboogerd 1, 4003 BX Tiel

Onze openingstijden zijn van maandag tot en met vrijdag van 08.00 tot 17.00 uur.

Over deze site

  • Privacyverklaring
  • Coordinated Vulnerability Disclosure
  • Servicegarantie
  • Toegankelijkheid
  • Archief website

Sociale media

Bekijk de Facebook pagina van Waterschap Rivierenland Bekijk de LinkedIn pagina van Waterschap Rivierenland Bekijk de Instagram pagina van Waterschap Rivierenland Bekijk de Bluesky pagina van Waterschap Rivierenland

Word jij onze nieuwe collega?

Vacatures

Menu

  • Actueel
  • Regelen
  • Werk in uitvoering
  • Over het waterschap
  • Contact

Toegankelijkheidsinstellingen beheren

Voorbeeld:

Titelweergave

Hier ziet u hoe de tekst eruit komt te zien met de door u aangevinkte opties.